FRP-GS-198724 | Działka Sprzedaż
Opis
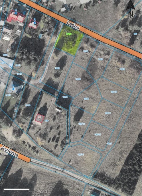
Działka rekreacyjna o pow. 800 m2 ( działka gruntu nr 191/2 w Lędyczku), położona na terenie przeznaczonym pod zabudowę letniskową z możliwością całorocznego użytkowania. Nieruchomość stwarza również możliwość prowadzenia działalności usługowej, dzięki czemu stanowi doskonałą propozycję zarówno dla osób prywatnych, jak i inwestorów szukających gruntu o wszechstronnym potencjale.
Zgodnie z obowiązującymi warunkami zabudowy dopuszcza się:
-
budowę budynku parterowego z użytkowym poddaszem i możliwością podpiwniczenia,
-
maksymalną wysokość zabudowy – do 7 m,
-
dach spadzisty o kącie nachylenia 30°,
-
maksymalną powierzchnię zabudowy – do 20% powierzchni działki.
Działka położona jest w spokojnej, malowniczej okolicy, idealnej do wypoczynku lub stworzenia całorocznego domu . Otoczenie terenów zielonych sprzyja relaksowi i rekreacji na świeżym powietrzu.
Lędyczek leży w Dolinie rzeki Gwdy, oraz nad jej dopływem Debrzynką. Ponadto w Lędyczku do Gwdy uchodzi rzeka Szczyra, a w pobliżu miejscowości uchodzi rzeka Czarna. Idealne miejsce dla miłośników spływów kajakowych. Działka położone bardzo blisko bogatego w grzyby lasu.
Przez miejscowość przebiega droga krajowa nr 22 (Kostrzyn–Grzechotki) Miejscowość leży w pobliżu takich miejscowości jak:
Powyższy opis ma charakter informacyjny i nie stanowi oferty w rozumieniu przepisów Kodeksu Cywilnego. Wszelkie prawa zastrzeżone! Opis oraz zdjęcia są własnością biura. Kopiowanie, powielanie, wykorzystywanie zdjęć i opisu bez zgody autora zabronione. Zapraszam serdecznie do zapoznania się z ofertą i prezentację




